NJ Fishing Advertise Here at New Jersey's Number 1 Fishing Website!


Message Board


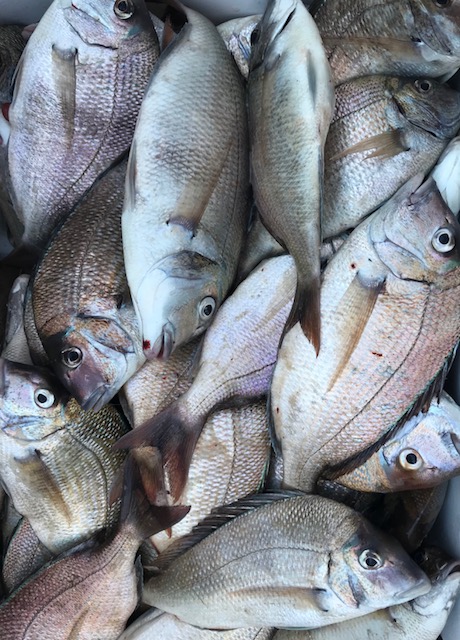
PORGIES!!! Porgies!! Porgies!!! - NJFishing.com Your Best Online Source for Fishing Information in New Jersey


Message Board Registration       FAQ

Go Back   NJFishing.com Your Best Online Source for Fishing Information in New Jersey > NJFishing.com Salt Water Fishing
FAQ Members List Calendar

NJFishing.com Salt Water Fishing Use this board to post all general salt water fishing information. Please use the appropriate boards below for all other information. General information about sailing times, charter availability and open boats trips can be found and should be posted in the open boat forum.

Reply
 
Thread Tools Display Modes
  #1  
Old 07-12-2018, 02:25 PM
WESTWIND WESTWIND is offline
Site Sponsor
 
Join Date: Mar 2016
Location: Leonardo, NJ
Posts: 104
Default PORGIES!!! Porgies!! Porgies!!!

It was red hot Porgie action today for the Bret Albinson charter---drop and reel fishing....
Attached Thumbnails
Click image for larger version

Name:	PORGIES.jpg
Views:	326
Size:	135.1 KB
ID:	125310  
__________________
Westwind Charters
Captain Mike Grecco
Leonardo State Marina
(908) 433-2530
www.
www.westwindcharterfishing.com.
Reply With Quote
Reply



Posting Rules
You may not post new threads
You may not post replies
You may not post attachments
You may not edit your posts

BB code is On
Smilies are On
[IMG] code is On
HTML code is Off

Forum Jump


All times are GMT -4. The time now is 01:02 AM.


Powered by vBulletin® Version 3.8.7
Copyright ©2000 - 2025, vBulletin Solutions, Inc.