NJ Fishing Advertise Here at New Jersey's Number 1 Fishing Website!


Message Board


Down Deep Bull - 6/1 5:30 am Excellent Jumbo Seabass & Ling - NJFishing.com Your Best Online Source for Fishing Information in New Jersey


Message Board Registration       FAQ

Go Back   NJFishing.com Your Best Online Source for Fishing Information in New Jersey > NJFishing.com Salt Water Fishing
FAQ Members List Calendar Mark Forums Read

NJFishing.com Salt Water Fishing Use this board to post all general salt water fishing information. Please use the appropriate boards below for all other information. General information about sailing times, charter availability and open boats trips can be found and should be posted in the open boat forum.

Reply
 
Thread Tools Display Modes
  #1  
Old 06-01-2019, 07:01 PM
Down Deep Sportfishing's Avatar
Down Deep Sportfishing Down Deep Sportfishing is offline
Site Sponsor
 
Join Date: Aug 2012
Posts: 2,476
Arrow Down Deep Bull - 6/1 5:30 am Excellent Jumbo Seabass & Ling

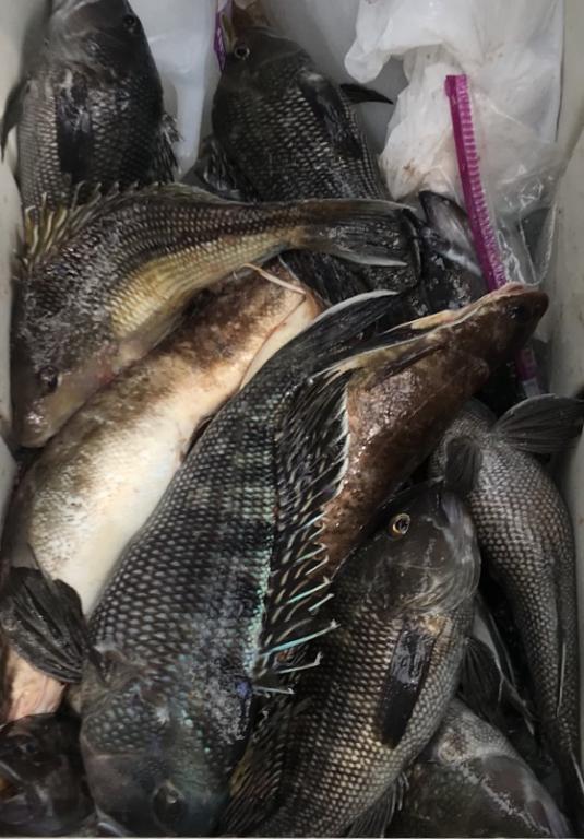
Today aboard the Down Deep Bull, we ran another 5:30 am Seabass trip for a big crowd of great friends. You want stories, get to the library. You want numbers, grab a phone book. You want to beat on Seabass, you come with us, non stop Seabass daily all around the boat, with other assorted Bottom Dwellers bending rods all trip long. Thanks everyone for sailing with us, and all others who continue to book their trips going forward at a rapid pace. Don’t miss the next open boat trips and fish in comfort like a gentleman and get right on em -

CLICK ON DOWN DEEP BULL FOR OUR SCHEDULES



DON'T FORGET TO ASK OUR CREWS FOR YOUR TICKET TO WIN FREE TRIPS ABOARD OUR BOAT.

JUST OTHER WAYS WE SHOW OUR THANKS BESIDES SAYING IT






ALL BAIT, BASIC TACKLE, ICE, RODS, KEURIG COFFEE & BOTTLED WATER PROVIDED.

Come out, load up, book now. Don't delay, BOOK STRIPERS, SEABASS & FLUKE CHARTERS NOW!

Here’s a few . . . . .
Attached Thumbnails
Click image for larger version

Name:	341D7927-BDE6-4B08-862E-88251EBF259F.jpeg
Views:	193
Size:	138.6 KB
ID:	134108   Click image for larger version

Name:	E8F5FC80-9BAE-4B9B-BFA5-CC2AA2D70C98.jpg
Views:	288
Size:	68.9 KB
ID:	134109   Click image for larger version

Name:	D601EC9F-BDBF-4BD9-82B4-15141D148785.jpeg
Views:	294
Size:	87.5 KB
ID:	134110   Click image for larger version

Name:	956772C3-792D-473B-8255-1BC7BA672C48.jpg
Views:	281
Size:	54.0 KB
ID:	134111   Click image for larger version

Name:	CAF98534-7BB8-46AA-A388-F496F0644AAE.jpeg
Views:	230
Size:	95.2 KB
ID:	134112  

__________________
THE DOWN DEEP BULL

40' RP WILLIS BEAL


USCG CERTIFIED 1 - 15 PASSENGERS

HUGE 18 X 16 COCKPIT / HEAT / AIR CONDITIONED
IMMACULATE CABIN & RESTROOM


Down Deep Sportfishing
Harbor View Marina
165 - West Front Street
Keyport, N.J. 07735


Capt. Mario - 609-827-1232

Available Dates & Reservations - 609-689-8631

1 GOAL - 2 CAPTAINS - 3 MATES - 4 EXCELLENT TRIPS - 5 STAR SERVICE

www.downdeepsportfishing.com

Last edited by Down Deep Sportfishing; 06-01-2019 at 07:06 PM..
Reply With Quote
Reply


Thread Tools
Display Modes

Posting Rules
You may not post new threads
You may not post replies
You may not post attachments
You may not edit your posts

BB code is On
Smilies are On
[IMG] code is On
HTML code is Off

Forum Jump


All times are GMT -4. The time now is 04:12 PM.


Powered by vBulletin® Version 3.8.7
Copyright ©2000 - 2025, vBulletin Solutions, Inc.