NJ Fishing Advertise Here at New Jersey's Number 1 Fishing Website!


Message Board


CompTime Charters--Great day of SeaBass. - NJFishing.com Your Best Online Source for Fishing Information in New Jersey


Message Board Registration       FAQ

Go Back   NJFishing.com Your Best Online Source for Fishing Information in New Jersey > NJFishing.com Salt Water Fishing
FAQ Members List Calendar

NJFishing.com Salt Water Fishing Use this board to post all general salt water fishing information. Please use the appropriate boards below for all other information. General information about sailing times, charter availability and open boats trips can be found and should be posted in the open boat forum.

Reply
 
Thread Tools Display Modes
  #1  
Old 06-01-2017, 08:05 PM
CompTime Charters CompTime Charters is offline
Site Sponsor
 
Join Date: Apr 2009
Posts: 323
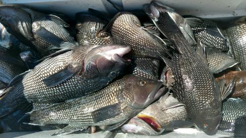
Default CompTime Charters--Great day of SeaBass.

Great day on the water!! Plenty of SeaBass to go around. We had drop and reel action all day. Calm seas and full sun. Doesn't get much better than that!!!
Attached Thumbnails
Click image for larger version

Name:	23453.jpg
Views:	270
Size:	39.8 KB
ID:	110593   Click image for larger version

Name:	23454.jpg
Views:	252
Size:	9.4 KB
ID:	110594   Click image for larger version

Name:	23396.jpg
Views:	222
Size:	22.8 KB
ID:	110595  
__________________
CompTime Fishing Charters LLC
INSHORE/OFFSHORE FISHING CHARTERS

www.comptimefishing.com

(732) 496-0401
Comptimecharters@gmail.com

Click on the Facebook link below for pics and info.!!
https://m.facebook.com/CompTime-Fish...9485383511987/

Click on our Instagram link below
https://www.instagram.com/comptimecharters/
Reply With Quote
Reply



Posting Rules
You may not post new threads
You may not post replies
You may not post attachments
You may not edit your posts

BB code is On
Smilies are On
[IMG] code is On
HTML code is Off

Forum Jump


All times are GMT -4. The time now is 10:19 PM.


Powered by vBulletin® Version 3.8.7
Copyright ©2000 - 2025, vBulletin Solutions, Inc.